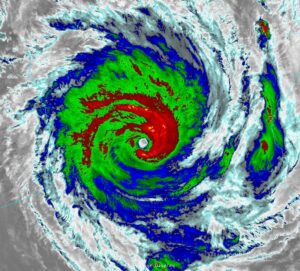
CYCLONE SHAKTI 2025: अरब सागर के उत्तर-पूर्वी हिस्से में बना गहरा दबाव क्षेत्र तेजी से चक्रवाती तूफान ‘शक्ति’ में बदल चुका है। भारतीय मौसम विभाग (आईएमडी) ने इसकी पुष्टि करते हुए चेतावनी दी है कि अगले 24 घंटों में यह गंभीर चक्रवाती तूफान का रूप ले सकता है। यह 2025 का पहला मानसूनोत्तर चक्रवात है, जो वर्तमान में द्वारका से लगभग 240 किलोमीटर पश्चिम-दक्षिण-पश्चिम में सक्रिय है। आईएमडी ने अक्टूबर में महाराष्ट्र के लिए सामान्य से अधिक वर्षा का पूर्वानुमान जारी किया है। विभाग ने नागरिकों से सतर्क रहने और प्रशासनिक निर्देशों का पालन करने की अपील की है।

आईएमडी के मुताबिक ‘शक्ति’ का असर गुजरात के कच्छ, सौराष्ट्र और उत्तर महाराष्ट्र तट के अलावा पाकिस्तान के निकटवर्ती इलाकों में भी दिखेगा। 4 अक्टूबर की सुबह तक इसके गंभीर चक्रवाती तूफान बनने की संभावना जताई गई है। अनुमान है कि यह 5 अक्टूबर तक उत्तर और मध्य अरब सागर के केंद्रीय भागों तक पहुंच जाएगा और उसके बाद पूर्व-उत्तर-पूर्व दिशा में आगे बढ़ेगा। हालांकि भारतीय मुख्यभूमि पर इसका सीधा प्रभाव कम होगा, लेकिन सौराष्ट्र और कच्छ में हल्की से मध्यम बारिश हो सकती है।

महाराष्ट्र में अलर्ट
आईएमडी ने महाराष्ट्र में 3 से 7 अक्टूबर तक उच्च से मध्यम स्तर का अलर्ट जारी किया है। मुंबई, ठाणे, पालघर, रायगढ़, रत्नागिरि और सिंधुदुर्ग जिलों में 4 और 5 अक्टूबर को 45-55 किलोमीटर प्रति घंटा की रफ्तार से हवाएं चलने की संभावना है, जो 65 किलोमीटर प्रति घंटा तक पहुंच सकती हैं। राज्य सरकार ने आपदा प्रबंधन प्रणाली सक्रिय करने, निचले इलाकों से लोगों की निकासी और समुद्री यात्रा पर रोक लगाने के निर्देश दिए हैं।

हवाओं की रफ्तार और बारिश का पूर्वानुमान
आईएमडी ने बताया कि 3 अक्टूबर दोपहर तक अरब सागर के केंद्रीय भाग में 55-65 किलोमीटर प्रति घंटा की हवाएं चल रही थीं, जो अगले 24 घंटों में 100-110 किलोमीटर प्रति घंटा तक पहुंच सकती हैं। गुजरात और उत्तर महाराष्ट्र के तटों पर 3 से 5 अक्टूबर तक 45-55 किलोमीटर प्रति घंटा की हवाएं चलेंगी। मछुआरों को 3 से 6 अक्टूबर तक समुद्र में न जाने की सख्त सलाह दी गई है। महाराष्ट्र के आंतरिक हिस्सों विशेषकर पूर्वी विदर्भ और मराठवाड़ा में भारी से बहुत भारी बारिश की संभावना जताई गई है। उत्तर कोकण में नमी के घुसाव और बादलों की अधिकता के कारण बाढ़ की स्थिति भी बन सकती है।

CYCLONE SHAKTI 2025: श्रीलंका ने दिया नाम
इस चक्रवात को ‘शक्ति’ नाम श्रीलंका ने दिया है। बंगाल की खाड़ी और अरब सागर में चक्रवातों के नामकरण की व्यवस्था विश्व मौसम संगठन (डब्ल्यूएमओ) और एशिया-प्रशांत आर्थिक एवं सामाजिक आयोग (ईएससीएपी) के तहत की जाती है। इस प्रणाली में भारत, बांग्लादेश, मालदीव, म्यांमार, ओमान, पाकिस्तान, श्रीलंका और थाईलैंड जैसे देश नाम सुझाते हैं। ‘शक्ति’ का अर्थ ताकत है और यह नाम श्रीलंका द्वारा प्रस्तावित किया गया था।

क्या होता है चक्रवात?

उत्तराखंड में विकास को मिलेगी नई रफ्तार, सीएम धामी ने 986 करोड़ की योजनाओं के लिए दी वित्तीय स्वीकृति
देश दुनिया से जुड़ी हर खबर और जानकारी के लिए क्लिक करें-देवभूमि न्यूज


